CONNECTICUT INTEGRATED PEST MANAGEMENT PROGRAM
Introduction
The Integrated Pest Management (IPM) Program is a collaboration between UConn Extension and the Department of Plant Science & Landscape Architecture. Since its inception in 1980, the UConn IPM Program has made great strides in developing and implementing sustainable methods for pest control throughout Connecticut. Integrated Pest Management applies multiple tactics in a variety of settings through the selection of appropriate tools and the education of agricultural industry members and Connecticut citizens to provide sustainable, science-based approaches for the management of plant pests (insects, mites, diseases, wildlife, and weeds, including invasive plants). The UConn IPM Program
incorporates all possible crop management and pest management strategies through knowledgeable decision-making, utilizing the most efficient landscape and on-farm resources, and integrating cultural and biological controls. Program objectives include maintaining the economic viability of agricultural and green industry businesses, enhancing and conserving environmental quality and natural resources, educating participants on the effective use of cultural practices to mitigate pest problems, of biological control agents, and educating pesticide users about bee safe materials, least toxic options, and the safe use and handling of organic and synthetic pesticide products. The IPM Program Team includes Mary Concklin (fruit and IPM Coordinator), Leanne Pundt (greenhouse), Victoria Wallace (school, invasive, pollinators, turf and landscape), Jacob Ricker (nursery), Ana Legrand (vegetables), Shuresh Ghimire (vegetables), Abby Beissinger (diagnostician), Miriah Kelly (program evaluation) and Candace Bartholomew (pesticide safety education). Jennifer Dacey, nursery IPM technician, left the University mid-year.
The goal of IPM is to reduce the dependence of agricultural producers and green industry professionals, Connecticut citizens, and schools on pesticides while maintaining or improving productivity, crop quality, and quality of life. The IPM Program has educated growers statewide about the judicious and safe use of organic and synthetic pesticides and alternative pest control methods.
Broader adoption of IPM practices enhances responsible pest management and reduced management and production costs; minimizes adverse environmental and economic effects from pests and pest management; results in improved ecosystem quality and plant performance; and improves plant health, quality, yields, and aesthetics. The use of IPM includes cultural controls; biological control agents; biological fungicides; physical and mechanical controls; the use of resistant cultivars; regulatory controls; behavioral modification; and, only, when necessary, chemical controls, with the selection of least toxic products. IPM partners and collaborators include State and Federal agricultural and environmental/non-governmental agencies and organizations; State, New England, and Northeastern fruit, greenhouse, grounds keepers, nursery, turf, landscape, and vegetable associations; industry suppliers/dealers; regional universities. educators; schools and municipalities; individual growers, farmers, and producers; Master Gardeners; and the general public.
IPM Program team members conduct intensive on-site educational training for fruit and vegetable producers, garden center owners, greenhouse growers, nursery producers and retailers, and turf and landscape professionals. Growers and green industry professionals receive information on the current status of and recommendations for important plant pests and training via pest messages, email alerts, webinars, newsletters, articles in national trade journals, management guides, websites, social media, consultations and counseling via phone and text, site visits to their operations, workshops, field demonstrations and research projects, conferences, exhibits, and short courses. IPM programs are evaluated through pre- and/or post-program surveys and evaluations, needs assessment surveys, focus groups, key informant interviews, testimonials, and unsolicited comments.

IPM Outcomes
- There were 129,223 sessions created by 109,555 users of the IPM website during 2019, representing 164,311 page views.
- Vegetable integrated pest management education was delivered to 550+ vegetable growers and stakeholders every week from May to September 2019 through 19 weekly vegetable pest alerts focusing on pests, pest management and decision-making, and safe pesticide use.
- Over 450 invasive plant activities occurred in 35 Connecticut towns, reaching over 38,930 Connecticut citizens in 2019, including agency and municipal A minimum of 3,900 hours of intensive invasive plant training sessions and management activities was provided, as well as technical educational outreach.
- 474 fruit growers and industry members received 116 fruit messages covering pest information, management strategies, cultural practices, meetings and educational programming updates.
- 150 farmers, farm family members, veterinarians and agricultural service providers attended 2 workshops dealing with farmer stress, signs of depression and suicide ideology, effective communication techniques, and available
- School and municipal educational IPM workshops were delivered to 115 individuals from 45 A Native Plant and Pollinator conference was delivered to 287 people, including school grounds managers, landscape professionals, town conservation commission members, educators, master gardeners, arborists, and government officials.
IPM Program Funding
The Connecticut IPM Program is a collaboration between UConn Extension and the Department of Plant Science & Landscape Architecture. The IPM Program Team acknowledges support from the following Federal, State, and private funding sources:
Connecticut Department of Agriculture
Connecticut Department of Energy and Environmental Protection (DEEP) Connecticut Farm Bureau
Connecticut School IPM Coalition Connecticut Veterinary Medical Association
Grower donors and municipal and school grounds research participants throughout Connecticut Indian Land Tenure Foundation (ILTF)
Multi-state Hatch Project NE-1032 National Plant Diagnostic Network (NPDN)
New England Vegetable & Berry Growers’ Association Northeastern IPM Center (NEIPMC)
Northeast Organic Farming Association of Connecticut (NOFA) The Connecticut Agricultural Experiment Station (CAES)
The University of Connecticut
The University of Connecticut Research Excellence Program, Office of the Vice-president for Research Tufts Veterinary Field Service
US Department of Agriculture (USDA) Animal and Plant Health Inspection Service (APHIS) USDA Agriculture and Food Research Initiative Education and Literacy Initiative (AFRI ELI) USDA Federally Recognized Tribes Extension Program (FRTEP)
USDA National Institute of Food and Agriculture (NIFA) Beginning Farmer and Rancher Development Program (BFRDP)
USDA NIFA Crop Protection and Pest Management (CPPM) Extension Implementation Program (EIP) USDA NIFA Integrated Pest Information Platform for Extension and Education (iPiPE)
USDA NIFA Specialty Crop Research Initiative (SCRI) project USDA Northeast Region IR-4 Program
USDA Northeast Sustainable Agriculture Research & Education (SARE) Program USDA Risk Management Agency (RMA)
USDA Specialty Crop Block Grant (SCBG) Program
UConn IPM Program Team Delivers Educational Outreach
Native Plant and Pollinator Conference. October 3, 2019. UConn Storrs
Organizers: Victoria Wallace, Associate Extension Educator and Dr. Jessica Lubell, Dept. of Plant Science
This conference featured presentations on Monarch Waystations by Adam Baker, University of Kentucky; Asters & Goldenrods: Autumn’s Pollinator Banquet by Heather Holm, Author and Pollinator Educator, Minnetonka, Minnesota. Evaluating Pollinator Attraction of Herbaceous Perennial Nativars by Annie White, ASLA, PhD, NECTAR Landscape Design Studio & Consulting, Burlington VT; Aronia Up Close: Built in Complexity and Potential by Dr. Mark Brand, Department of Plant Science and Landscape Architecture, University of Connecticut; and What We Know About Nativars, Pollinators, and the Nursery Industry: Making Informed Decisions by Dr. Jessica Lubell, Department of Plant Science and Landscape Architecture, University of Connecticut A total of 287 people, including school grounds managers, landscape professionals, town conservation commission members, educators, master gardeners, arborists, and government officials attended the day long workshop.
97% of the attendees who completed the evaluation forms stated that they were more knowledgeable about native plants and pollinators because of the program and would manage their landscapes/plant growing differently due to what they learned. 99% of attendees rated the program as good to excellent. The respondents increased their understanding about implementing monarch butterfly waystations, utilizing key or underutilized plants for pollinator support (asters, goldenrods, Aronia spp.), and native herbaceous cultivars by 43%.


Comments from Native Plant and Pollinator Conference Attendees:
As a Master Gardener, I speak to gardening groups regularly. This has given me grounding and “ammunition” to deliver the message to interested and skeptic gardeners. Lots of usable tidbits.
Thanks so much for organizing this very informative conference. It was super refreshing and run very well. Pre-conference communication was very thorough.
Annie White’s presentation on ‘nativars’ was invaluable. I gained science-based data to back up my design choices when presenting to clients.
Professor Lubell did an excellent job of highlighting challenges to the industry to produce local ecotype natives for mass market.
Thank you for the wonderful program today at UConn. I found the information fascinating and came away far more informed than when I arrived. The speakers were wonderful.
UConn Greenhouse Biological Control Conference. June 19, 2019. CAES, New Haven, CT
Organizers: Leanne Pundt, Extension Educator and Rosa Raudales, Assistant Professor, Dept of Plant Science
This conference featured presentations on Strategies for Success with Biological Controls: Planning and Forecasting by Ron Valentin, Bioworks; Proper Identification of Aphids, Thrips & Other Troublesome Pests and Grower Case Studies: What’s Working? by Suzanne Wainwright Evans, Buglady Consulting; Supplemental Foods and their Applications by Steven Arthurs, BioBee USA; and Biological Controls at DS Cole by Chris Schlegel, DS Cole Growers.
This conference was attended by 69 folks from CT, MA, NY and IA. Of those that completed the evaluation forms, 98% rated the conference as useful to very useful and 98% stated that they learned something to adopt a new practice, 100% stated they learned something that day to help them better use biological control agents. The majority (95%) were already using some biological controls agents (insects, fungicides or nematodes).
Comments from Attendees:
Great food, well-organized, super presenters, this made the trip from upstate NY worth it!
It is the wave of the future. We are already using BCA’s and always good to have more information and maybe switch to BCAs totally.
I am an extension educator, and I always come to this conference when I can. This program is always high quality, and this year was no exception
Hemp Growers Meeting. June 26, 2019.
UConn Tolland County Extension Center
Organizer: Shuresh Ghimire, Assistant Extension Educator
This meeting featured presentations on A Quick Update in CBD Hemp Research by Gerald A. Berkowitz, UConn; Growing Hemp in Field: What We Know about Cultural Practices by Shuresh Ghimire, UConn; Growing Hemp in Controlled Environment by Shelley Durocher-Nesta, UConn; Seed Sources, Dioecy, Feminized Seed, and Pollen Drift: Things to Consider by Jessica Lubell-Brand, UConn; Regulatory Update by Carole Briggs and Wayne Kasacek, CT Dept. of Agriculture; and Pre-harvest Sampling and Testing by Wayne Nelson, CT Dept. of Agriculture. The conference was attended by 170 current and prospective hemp growers. Forty-seven participants (~28%) completed the evaluation form. Of those that completed the evaluation forms, 85% rated Excellent or Good for the amount of new information they learned at the meeting.


Hemp Production Growers Meeting on June 26, 2019, at UConn Tolland County Extension Center (Photos by MacKenzie White)
Cut Flower Growers Workshop. January 8, 2019.
Scout Hall, East Windsor, CT
Organizers: Mary Concklin, Extension Educator and Ana Legrand, Assistant Extension Professor
The first annual Cut Flower Growers Workshop was held with 93 in attendance. This workshop was for experienced growers, beginning growers, as well as those interested in pursuing this crop. Evelyn Lee, Butternut Gardens, Southington, CT spoke about Logistics of growing cut flowers; Bouquet making and vase design; What the industry/markets are calling for; and Specific flower run-down. 57% of attendees responded to the evaluation with 94.4% indicating this was a very good to excellent workshop.
Comments:
Excellent speaker!
We learned a great deal to use in our business.
UConn Extension’s Vegetable & Small Fruit Conference. January 7, 2019
Maneeley’s Conference Center, South Windsor, CT
Mary Concklin (Chair), Shuresh Ghimire, Leanne Pundt, Ana Legrand
This annual conference, attended by 278 growers and industry members, featured 9 presentations by growers Andre Cantelmo, Heron Pond Farm South Hampton, NH; Sal Gilbertie, Gilberties Petite Edibles, Easton, CT; Evelyn Lee, Butternut Gardens, Southport, CT; Bruce Gresczyk Jr, Gresczyk Farms, New Hartford, CT; Michele Collins Fairweather Acres, Rocky Hill, CT; and Randy Perham, Bishops Orchards, Guilford, CT; Industry member Carolyn Ahern, Green Tree Risk Management; University Extension and research members Kathy Demchak, Penn State University, Dr. Yolanda Chen, University of Vermont, and Dr. Becky Sideman, University of New Hampshire. The trade show attracted 33 vendors featuring plants and products applicable to vegetable and fruit growing, as well as USDA agencies, UConn and the CT Department of Agriculture.
114 attendees completed the evaluation form – 86% indicated the conference was good to excellent; 88% indicated they learned something that would help them improve crop production practices or crop quality; 88% indicated they improved their understanding of pest management; 68% learned something to improve the farm’s marketing or profitability, and 55% indicated they plan to adopt a new practice in the 2019 season based on information learned at the conference.
Comments:
Great job. It was nice to hear someone talk about microgreens with a story about his farm from start through today.
We learned a great deal to use in our business.
Vegetable IPM Program
Program Leader: Shuresh Ghimire, Assistant Extension Educator
Weekly Vegetable Pest Alert
Weekly vegetable pest alerts focusing on pests, pest management and decision-making, and safe pesticide use were delivered to over 550 subscribers via the UConn Extension Vegetable IPM Program listserv from May through September 2019.

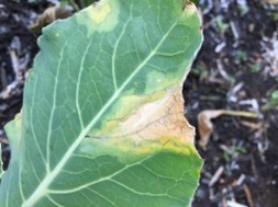
Black rot symptom on a cabbage leaf (Photo: Shuresh Ghimire)
Mashantucket Pequot Federally Recognized Tribes Extension Program
The relationship between the tribe and the University of Connecticut has been strengthened as a result of activities of this project, resulting in increased participation of tribal members at the Extension programs offered by UConn. This project continued to employ two youth for the Train-the-Trainer program for the sustainable vegetable and farming operation, where they actively participated in the vegetable course taught from Nov 2018 to April 2019, farming activities, and training other youth in their community. This is an important impact of the project as the youth are the future for the tribe and training them on modern agricultural practices taught by UConn Extension, while also learning the tribal agricultural traditions, taught by tribal elders is a key goal of this project.
UConn Team Members: Shuresh Ghimire (April 2019-present), Mary Concklin (2017-April 2019), Joseph Bonelli, and Miriah Kelly. Funding: USDA-FRTEP
UConn Extension educators work with members of the Mashantucket Pequot Tribal Nation in a high tunnel

“Once this grant came, we started working with UConn Extension Educators. There has been a substantial gain in the knowledge and skills regarding growing food, writing a business plan, nutrition, and health.” Jeremy Whipple, a MPTN member.
Fruit IPM
Program Leader: Mary Concklin, Extension Educator an IPM Coordinator
iPiPE – CT Grape Component completed its second IPM project year working with 13 CT grape growers. iPiPE (Integrated Pest Information Platform for Extension and Education) is an information databasing program that promotes sharing of pest observations by growers, extension staff, interns and industry members via the iPiPE website. A major component of this project involved hiring two UConn students, Casey Lambert and Evan Lentz, who learned grape pests and effective management strategies, scouting techniques, economic thresholds, IPM techniques, and general grape growing during their first year and continued to apply that knowledge with13 vineyards on a weekly basis in 2019. They also uploaded their observations to the iPiPE website. The interaction with the growers was beneficial to the students as well as the growers, and they were able to see first-hand the impact of an effective Extension program. At the 2019 National iPiPE Participant Meeting in Raleigh NC, Casey Lambert and Evan Lentz received the Award of Excellence for Stakeholder Engagement. Funding: USDA-NIFA through NC State University.
Scaling Up: Beginning Farmer and Rancher Program
Fifty-six growers attended 4 Beginning Farmer classes covering Tree fruit production for Small Scale Farming, Small fruit Production, and Pesticide Safety (twice) held in Killingly, Simsbury, Bethel and Mansfield. Evaluations were conducted after each program. 100% of the attendees indicated they now have more comprehensive information on growing fruit including site selection & preparation, varieties, planting & care, pests and pest management, IPM, and harvesting. 100% of the attendees indicated they have a better understanding how to appropriately choose, safely apply and properly store pesticides, while 89% indicated they are better able to identify pesticides that work or do not work for their crops. Funding: USDA-BFRP. UConn Team members: Mary Concklin, Jiff Martin and German Cutz
CT Ag Wellness Summit
Two summits were held in 2019 to address the growing mental health crisis in the farming community. A Farmer Stress Support Workshop for agricultural service providers was held May 8, 2019 at Maneeley’s Conference Center, South Windsor with 80 attending. Speakers included Dan Welch, Cornell covering the Michigan State University curriculum, Andrea Duarte, CT Dept of Mental Health Prevention and Addiction Services, and Heather Spada, Suicide Prevention System Manager with CT NCSP Initiative covering CT resources. Joan Nichols, CT Farm Bureau and Willow Lake, CT Dept of Agriculture, provided QPR (Question, Persuade, Refer) training. Both are certified trainers. 80% of attendees expressed quite a bit or a lot of confidence communicating with someone experiencing stress; 81.5% indicated they understand the warning signs of suicide; and 79% felt confident on where to send people for help.
A second workshop, CT Ag Wellness Summit: Helping You to Help Others was held on December 5, 2019 and was attended by 70 farmers, farm family members, veterinarians and agricultural service providers. QPR training was offered at the end of the day. Presentations on understanding human behavior, controlling the controllables, and CT resources and awareness were made by Dr. Jennifer Quammen, Jon Jaffe, and Andrea Duarte. A networking activity with small groups was effective in sharing methods for dealing with stress as a way to help others and gather ideas for themselves. 100% of the attendees indicated on the evaluation they learned something that will help them. 96.4% felt the summit was good to excellent
Comments:
Happy to hear about beneficial insects including leaving some food (pests) for them.
The presentation was an eye opener to the toxicity of pesticides and will have an effect on how I use them.
Farmer Stress Support business cards were developed and made available at these and several other grower programs throughout the year.
This was a collaborative effort of UConn Department of Extension and Department of Plant Science & LA, USDA-RMA, CT Department of Agriculture, CT Farm Bureau, Farm Credit East, CT Veterinary Medical Association and CT NOFA. UConn Team Members: Mary Concklin, Joseph Bonelli, MacKenzie White, Nancy Barrett.
Funding: UConn Dept of Extension, USDA-RMA, CT Farm Bureau, Farm Credit East, CT NOFA, CT Veterinary Medical Association, and Tufts Veterinary Field Service.
Comments:
Really fabulous summit!
Having an environment to discuss this topic is amazing and important, and I’m so appreciative of having it!
I liked the group activity which encouraged discussion and sharing of ideas.
The networking activity was surprisingly helpful. It was a really good discussion.


One-on-One IPM training: One-on-one fruit IPM training involved a classroom and hands-on pruning workshop attended by 18 growers plus season long training involving 21 new and experienced fruit growers with different needs and backgrounds. Participants learned about plant care from planting through subsequent years, nutritional requirements of fruit plants, pest life cycles, scouting techniques, trapping and economic thresholds, identification of beneficial insects, and effective management strategies. Funding: USDA-NIFA-CPPM, USDA-NIFA-BFRP
Fruit Message: 116 fruit messages were emailed to 474 fruit growers and industry members in 2019 covering pest information, management strategies, cultural practices, meetings and educational programs. Most of the messages are available at the IPM website.


Invasive Species IPM Program
Program Leader: Victoria Wallace, Associate Extension Educator
Invasive Plants: A Growing Concern
IPM methods can be used to control invasive plants in residential properties, communities, and natural and managed landscapes. The Connecticut Invasive Plant Working Group (CIPWG) is a consortium of members of environmental organizations and affiliates of municipal and state agencies whose mission is to promote awareness of invasive plants and their non-invasive alternatives. CIPWG’s news and events list serve has approximately 920 members. The CIPWG website provides information on invasive plant identification and management, the Connecticut list of invasive plants, photos, native plant and other non-invasive alternatives, and legislative updates. CIPWG exhibits were displayed, invasive plant talks were presented, invasive plant educational materials were provided, and/or invasive plant management activities occurred at local, statewide, and regional events during 2018. A minimum of 450 invasive plant activities in 35 Connecticut towns reached over 33,930 Connecticut citizens, including agency and municipal staff. A minimum of 3,900 hours of intensive invasive plant training sessions and management activities was provided, as well as technical educational outreach.
Invasive Insects: Lily Leaf Beetle
Victoria Wallace replaced Donna Ellis as the Principal Investigator for a USDA APHIS biological control project for lily leaf beetle, a serious pest of lilies and other herbaceous ornamental plants. Ms. Wallace supervised UConn Master Gardener Coordinator Gail Reynolds, who recruited private landowners and businesses that grow or sell lilies to participate in the applied research project. One species of lily leaf beetle biological control agents (Tetrastrichus setifer) was introduced onto lilies during 2019, the final year of the project. Over 1,500 beneficial insects have been released into the 8 Connecticut counties to date. Multiple sites have been confirmed where parasitized lily leaf larvae have been confirmed in the state since the project began, indicating the gradual establishment of the parasitoids and their dispersal from release sites. An updated fact sheet and an infographic for lily leaf beetle biological control are available on the IPM website. The introduction and establishment of biological control agents to reduce populations of lily leaf beetle provide a sustainable method of managing this important ornamental plant pest to help protect Connecticut agriculture.


(Photos: Donna Ellis)
Greenhouse IPM
Program Leader: Leanne Pundt
Season Long Hands-on Training 2019
Bedding plants, edibles (vegetable and herb transplants, greenhouse vegetables grown for production), ornamental herbaceous perennials, hemp and poinsettias are grown under cover in greenhouses. This diversity of crops and associated pests and diseases makes biologically-based pest management challenging. Implementing biological control is complex due to multiple crops and pests, so a long learning curve among growers is common.
In 2019, 11 businesses participated in the Greenhouse IPM Program. Eighty-one percent were using biological controls, including biological fungicides, beneficial nematodes, and biological control agents.


Poinsettia crop grown with the use of biological controls. (Photos by Leanne Pundt)
111 training sessions were conducted, to wholesale and retail greenhouses with 1,566,088 square ft. of intensive greenhouse production and 1,021,000 square ft. of outdoor container production.
Those not participating in direct hands-on training was reached via diagnostic trouble shooting grower visits (30), phone calls, emails and text messages.
Comments:
Thanks to you Leanne, always a learning experience for all of us. Appreciate your help and expertise!
It helped us find some issues and gain control before they became more of a problem. It also helped me with positive identification that I was able to pass along to more of the staff.
I would like thank you for all the guidance and information that you provided the interns and me this year. I always receive a new piece of information that helps me keep the crops on track for that excellent product.
Pest Messages
28 pest messages were sent out via email to 290 growers and allied members of the ornamental horticulture industry and posted on the UConn IPM website.
Comments:
Just wanted to say thanks for all the work you’ve done on the fact sheets for UConn IPM. I am pretty new in the world of biocontrol and plant protection, and they have been great learning tools for me.
Alec Blume, Sound Horticulture, Bellingham, WA
Bedding Plants – Spring 2019, statewide program, held in two locations, on January 29th in Torrington, CT and February 14th in Vernon, CT
These programs featured speakers covering Watering: Air and Water Balance in the Root-Zone by Dr. Rosa Raudales, Greenhouse Extension Specialist, UConn; Root Rots, Mildews, and Blights by Dr. Yonghao Li, plant pathologist from CAES; Pesticide Formulations by Candace Bartholomew, Pesticide Safety Educator, UConn Extension; Update on Managing Insects and Mites by Leanne Pundt, Extension Educator, UConn Extension and Juan Carlos Garcia, graduate student, Department of Plant Science and LA, UConn.
66 attended. Of those that filled out evaluation forms, 100% rated the conference as useful to very useful, 94% were very or moderately likely to adopt a new practice as a result of attending these programs.


Comments:
Always a wonderful program.
Keep up the greenhouse info, thank you, UConn.
Speakers especially helpful and informative.
School IPM Program
Program leader: Victoria Wallace, Associate Extension Educator
The Connecticut School IPM Coalition was formed as the result of a statewide ban on the use of pesticides for daycare facilities and K-8 schools. Coalition members developed and presented educational workshops for school grounds and athletic field managers and their staff on maintaining grounds and fields without the use of pesticides. Assessment tools and methods to determine the impact of the management and quality of school grounds and athletic fields have been developed to better serve school grounds managers. The state of Connecticut requires the use of an IPM plan for care of all school grounds and athletic fields, even if the school managers are obligated to manage and care for these properties without the use of pesticides.
UConn IPM Program team members who were active in the Connecticut School IPM Coalition during 2019 included Victoria Wallace and Alyssa Siegel-Miles. A day-long educational workshop, devoted to the subject of biological Control for School Grounds, was held in Storrs, CT on August 14, 2019, attended by 41 school and municipal employees and landscape professionals. Attendees learned about microbes and nematodes in turfgrass, biocontrol demonstration case studies of two CT school landscapes, turf insect biocontrol, biofungicides for two turfgrass diseases (Dollarspot and Red Thread), and strategies to enhance efficacy of Gray Leaf Spot, as well as a legislative update. Pesticide credits were awarded.
96% of the attendees who completed the evaluation forms stated that they were more knowledgeable about grounds management options because of the program and would manage their athletic fields and landscapes differently due to what they learned. 100% of the attendees rated the program as good to excellent. The respondents increased their understanding about managing school grounds without pesticides and biological control options by 38%.


Workshop Attendee Comments:
Thank you! I appreciate the opportunity to learn from people who care.
I enjoyed the focus on the single topic for the day’s workshop. It allows for a deeper understanding of the topic at hand. Thanks for a great program.
Very informative. I will definitely incorporate the information about biocontrol products for grub and tick control into my turf management program.

As part of Year 2 of the current IPM grant, UConn faculty collaborated with two New London County schools, Lyman High School in Lebanon, and Ledyard High School in Ledyard, CT to examine the use of biological control agents as a sustainable, non-chemical IPM method to reduce pest populations in CT school landscapes. The two locations served as “demonstration gardens” to teach school grounds managers, students, and teachers about biological control and the care of pollinators and other beneficial insects.
Banker plants (which support pollinators and beneficial insects) were installed to supplement existing gardens. Students at both locations installed the plants after hearing a presentation about biocontrol and learning why the specific plants were selected. Students at Ledyard High School also watered and maintained the plants throughout the growing season, while A. Siegel-Miles maintained the plants at Lebanon High School.
V. Wallace supervised the project. A. Siegel-Miles monitored the banker plants at both locations to check for problem insect pests and the populations of the introduced biological agents. Problem insect pests were found on existing plant material and surrounding weeds. The biological control agents Aphidoletes aphidimyza (predatory midges) and Neoseiulus fallacis (predatory mites) were released during the summer once a sufficient number of insect pests were identified in the landscape and weather conditions were appropriate. 250 midges were released on three dates at two-week intervals (750 total) to control aphids. Five thousand mites were released on two dates at four-week intervals (10,000 total) to control spider mites. Additionally, plants were carefully selected to attract naturally occurring lacewings, which also help to control aphids.
Sustainable Landscapes Program
Program Leader: Victoria Wallace, Associate Extension Educator
Alliance for Low Input Sustainable Turfgrass (ALIST) Evaluation
Year 2 data of a 3-year evaluation trial of Kentucky bluegrass cultivars trial were collected. Turf quality of the cultivars were evaluated based on reduced water, chemical and fertility treatments. Selection of sustainable turfgrass varieties is critical for a turfgrass stand managed with few inputs. UConn is an evaluation location for this national program.


National Turfgrass Evaluation Program- Tall Fescue Test.
Year 1 data of a 5-year evaluation trial of Turf-type tall fescue was collected. Turf quality of the tall fescue cultivars was evaluated. UConn serves as an evaluation location for this national turfgrass evaluation program.

Workshops and Field Day
Sustainable landscape presentations were made both in-state and out-of-state. Topics included environmentally friendly turfgrass selection, weather stations as a tool for landscape pest management, alternative lawn options for landscape professionals, and UConn research updates.
A Municipal Grounds and School Turf Academy was held in June 2019. 74 attendees from 30 towns participated in the 2-day program. 92% of the attendees who completed the evaluation forms stated that they were more knowledgeable about turfgrass management options because of the program and would manage their school’s athletic fields differently due to what they learned. 100% rated the program as good to excellent. The respondents increased their understanding about managing school grounds without pesticides, weed control options, and Connecticut pesticide laws by 20%.
I was very motivated by the presentation on turfgrass diseases. The workshop inspired me to take more interest in this area of our athletic field management.
Municipal Grounds and School Turf Academy attendee

Cornell “Short Cutts”
Turfgrass conference call and newsletter (33-35 weeks/year; April-October). IPM recommendations for turfgrass managers along with current research and weather forecasting were made available to Extension faculty in the Northeast.
Sustainable Landscape and School IPM Publications
Vickie Wallace and Alyssa Siegel-Miles developed 9 UConn School IPM bulletins and fact sheets during 2019.
- Science-Based Information for Schools Adapting to Pesticide-Free Maintenance Programs – Ideas at Work, for the Journal of Extension. Submitted, approved with edits. To be published in 2020. 3 pgs.
- A School Grounds Manager’s Primer: Connecticut’s Pesticide Ban on School 12 pgs.
- A Superintendent’s Primer: Connecticut’s Pesticide Ban on School 9 pgs.
- Connecticut’s Pesticide Ban on School Brochure for Parents, Teachers, and the School Community. 2 pgs.
- Biological Pest Control for Connecticut School With John Inguagiato. 4 pgs.
- Biological Pest Control Products Available for Connecticut School With John Inguagiato. 2 pgs.
- FertAdvisor App Informational 1 pg.
- Sustainable Landscaping in Out-of-Play Areas on Golf New England Golf Course Best Management Practices chapter. 9 pgs.
Nursery IPM
Program Leaders: Mary Concklin, Extension Educator and IPM Coordinator
Victoria Wallace, Associate Extension Educator; Donna Ellis, Senior Extension Educator (retired) Jennifer Dacey and Jacob Ricker, Public Service Technicians
Four nurseries received bi-weekly visits with on-site IPM trainings to 37 personnel. Jennifer Dacey authored UConn Nursery and Landscape Updates that were sent to 68 nursery growers and are available on the IPM website. Wallace and Ellis worked with the CT Nursery & Landscape Association (CNLA) to develop the 2019 annual conference program. Dr. Ana Legrand collaborated with CLNA to organize and moderate the Spanish Program for the 2019 CNLA Winter Symposium. Ricker (hired October 2019) has replaced Dacey and is conducting a needs assessment with nurseries.
Dacey (resigned July 2019) created nine new factsheets:
- Ash (Lilac) Borer
- Eastern and Forest Tent Caterpillars
- European Pine Sawfly
- Hemlock Woolly Adelgid
- Redheaded Flea Beetle
- Scarab Beetles
- Viburnum Leaf Beetle

Plant Diagnostic Laboratory
Program Leader: Abby Beissinger
Abby Beissinger joined the IPM team in May 2019. In collaboration with the UConn Home & Garden Education Center, 630 samples were processed during 2019. Samples submitted included fruit and vegetable, nursery, and greenhouse (both ornamental and vegetable) crops, and were accepted from both home garden and commercial clients. Samples came from 113 Connecticut towns, as well as Massachusetts, Maine, New Hampshire, New Jersey, New York, Pennsylvania, and Rhode Island. Diagnostic services included plant and insect identification, plant disease diagnosis, and abiotic disorder diagnosis. Image sample submissions to the Plant Sample Submission App made up 64 of the 630 total samples and was used by both professional and home garden clients. Fees of $15.00 per sample were covered by a USDA NIFA CPPM grant for 57 samples from Connecticut commercial growers. From June-October, monthly diagnostic summary reports were sent to 95 people.
In July 2019, Beissinger conducted a special tour of the diagnostic laboratory for international interns from Casertano’s Farms. In August, Beissinger was invited to give a vegetable diagnostic update to the Vegetable IPM Field Workshop, in collaboration with Assistant Extension Professor Ana Legrand. In an effort to engage more with millennials and apartment dwellers that may not have access to green space, Beissinger started an Instagram account called @Sick Plants. She educated followers about specific plant pests and diseases that she saw in nature or in the Diagnostic Lab, and provided face-to-face responses to followers experiencing real-time plant issues. The account has been live for three months and has amassed 200 followers.
The UConn Plant Diagnostic Lab is part of the National Plant Diagnostic Network, a Department of Homeland Security funded network of diagnostic labs throughout the country. During 2019, Beissinger regularly collaborated with diagnostic labs and diagnosticians to help solve difficult plant health issues.
Comments:
Abby, first I want to say thank you for the outstanding report you provided on the Peonies. I had always thought I was looking at Cladosporium paeoniae. Again thank you for your time and all you do! – Grower comment
Abby, thank you so very much for the information. I guess I have some work to do in that bed before attempting to plant any shrubs. – Homeowner comment
Thank you for your meticulous work. We received the diagnostic report and we will do as you suggested. -Student comment
Thanks for the information on my sumac sample. Super helpful. –Homeowner comment
Program Evaluation
Program Leader: Miriah Kelly
IPM Collective Impact Assessment: Overview
The UConn Integrated Pest Management (IPM) team sought to assess their educational outreach efforts using a collective impact assessment perspective. Dr. Kelly developed an evaluation protocol to 1) determine if universal program goals were reached and 2) identify stakeholder needs for the purpose of broad scale program improvement. Throughout the 2018-2019 program year, UConn Extension IPM program educators kept track of the stakeholders with whom they had “direct contact”. Upon providing this information to the evaluator, she combined the lists, checked them for any duplicates, and created a contact list for survey distribution via Qualtrics online data collection software.
The collective impact survey was designed in consultation with the entire IPM team, and asked a series of questions about the areas of IPM program support participants received that year, and if their attitudes, knowledge or behavior changed as a result. It also asked about what IPM issues are of most interest or need, and how they prefer to engage with IPM educational resources. Each participant received a unique link via e-mail and data were collected October through November 2019. Of the 1221 participants contacted, 233 responded, resulting in a 19% response rate.
45.8% of respondents indicated their pesticide use decreased after working with the UConn IPM program while only 2.7% indicated it increased. 80% responded they feel more knowledgeable of IPM options because of the UConn IPM program and 64.1% indicated they conduct IPM differently because of the UConn IPM program (such as reduced pesticide use, use of biocontrols).

Vegetable Entomology
Program Leader: Dr. Ana Legrand, Assistant Extension Professor
The Brassica Pest Collaborative continued its work by organizing a number of educational activities and conducting research. The first Brassica Pest Collaborative Webinar series was presented in March and April of 2019. Five lunchtime webinars covered the biology and management of all the major brassica insect pests found in the region. The webinars met their training objectives. For example, attendees to Dr. Legrand’s webinar on brassica caterpillars rated their knowledge before the webinar on average at 2.73 increasing to 4.27 afterwards (1-5 rating scale with 5 being most knowledge). Collaborative members also coordinated and collaborated in a number of insect pest management projects. Dr. Legrand’s contribution focused on insectary plant evaluations to support conservation biocontrol approaches and on cultural practices that can lessen the impact of brassica pests. The collaborative is a multi-state effort (NY, MA, NH and CT) funded by NE SARE.
Dr. Legrand gave several presentations on vegetable insect pest management and organized the 2019 Vegetable IPM Field Workshop conducted at the Plant Science Research and Teaching Facilities in Storrs. Significant impacts from this workshop were increases in IPM knowledge. Attendees on average rated their before- and after-program knowledge as follows (1-5 rating scale with 5 being most knowledge): 2 changing to 4 regarding pest life cycles and identification, 2.8 changing to 4.1 for monitoring and 2.3 increasing to 4.1 on the use of insectary plants. The field workshop covered diverse topics of importance to vegetable growers. Dr. Shuresh Ghimire addressed the use of biodegradable plastic mulch materials and Ms. Abby Beissinger gave a review of important plant diseases and of the UConn Plant Diagnostics Laboratory services. 100% of workshop attendees who returned an evaluation rated the workshop as good or excellent. 100% of workshop attendees who returned an evaluation indicated that they learned something new. As requested by participants, this field day event will be repeated to promote IPM and give updates on research projects.
Other research projects in Dr. Legrand lab focused on the development of a remote sensing system for monitoring potato leafhopper (PLH) damage to green beans. This project is conducted in collaboration with Dr. Witharana from the Dept. of Natural Resources and Environment at UConn. PLH is a significant pest in several horticultural systems, and our work has the potential to benefit multiple commodities through early detection of the insect with minimal labor inputs by growers. Dr. Piyumi Obeysekara, Postdoctoral Fellow, completed several experiments to document the leaf spectral responses to PLH and cabbage aphid feeding in a controlled setting. Mr. Bivek Bhusal, master’s level student, recently joined the lab to work on further development of the PLH remote sensing system. Other noteworthy activities include the successful completion of Mr. Danny Mitola’s first research season evaluating several alyssum cultivars for use as insectary plants. This project is supported by the IPM Program Undergraduate Research Fellowship funded by the USDA AFRI ELI program. Mr. Ben Gluck also completed his master’s thesis on the evaluation of drought-tolerant plants for pollinators use and beneficial insect attraction.


Pesticide Safety Education
Program Leader: Candace Bartholomew
Eight Extension educators were involved in conducting Pesticide Safety Education Program (PSEP) training during the 2019 calendar year. Eleven Extension pesticide applicator recertification meetings were sponsored or co-sponsored providing pesticide safety and/or pest management education to 667 individuals. Of these 268 applicators received pesticide applicator recertification credits. Two short courses consisting of 8 weeks and 24 hours of training were conducted for individuals seeking state commercial supervisory certification in the categories of Ornamental and Turf or Golf Course Superintendent. 56 students completed the Ornamental and Turf Short Course, and 31% of those who took the state certification exam successfully passed to become state certified to pesticides apply commercially by starting a business or supervising others applying pesticides. Once certified by the state these applicators may start a pesticide application business or supervise others applying pesticides. An additional 175 Master Gardeners received pesticide safety education
2019 IPM Projects
Beissinger, Abby. Northeast Plant Diagnostic Network. USDA National Institute of Food and Agriculture (NIFA).
Bartholomew, G. Berkowitz, J. Bonelli, J. Bovay, M. Fusco, D. Hirsch, Y. Li, S. Stearns, C. Tian, and V. Wallace. UConn GMO Working Group. UConn Departments of Plant Science and Landscape Architecture, Extension, Animal Science, and Agricultural and Resource Economics.
Bonelli, J. and M. Concklin. Crop Insurance and Risk Management Promotion, Education and Training for Connecticut Farmers and Growers, 2018-2020. USDA Risk Management Agency (RMA).
Concklin, M. BMSB Monitoring. Cooperating growers: Blue Hills Orchard, Rogers Orchards, Belltown Orchards, Buell’s Orchards, Savino Vineyards. USDA-EIPM and USDA-NIFA-CPPM.
Concklin, M. Demonstrating the Use and Value of Scientific Based Management Tools for Fertilizer Decisions – 5th Year Continuation. Cooperating growers: Hopkins Vineyard, Beckett Farm, Belltown Hill Orchards, Bishops Orchards, Orchard Farm, Foster Family Farm, Drazen Orchards, Dzen Bros Farm, Gouveia Vineyard, Hayward Farm, Blue Hills Orchard, Jones Family Farm, Chestnut Hill Vineyard, Lebanon Green Vineyard, Sunset Meadow Vineyard, Rogers Orchards, Buell’s Orchard, Savino Vineyards, Preston Ridge Vineyards, Lapsley Orchards, Jos. Preli Farm & Vineyard, Rosabianca Vineyard. USDA-CPPM and USDA-iPiPE
Concklin, M. Fruit IPM – Applied Research and Outreach Programs. USDA NIFA CPPM EIP
Concklin, M, A. Beissinger, M. Kelly, A. Legrand, L. Pundt, and V. Wallace. Connecticut Extension Integrated Pest Management Program. USDA NIFA CPPM EIP
Concklin, M, S. Ghimire, J. Bonelli, and M. Kelly. Mashantucket Pequot Federally Recognized Tribes Extension Program, 2017-2020. USDA Federally Recognized Tribes Extension Program (FRTEP).
Concklin, M, S. Ghimire, J. Bonelli, and M. Kelly. Indian Country Extension Fund Grant. 2018-2019.
Concklin, M. iPiPE – CT Grape Component. Undergraduate student interns: Casey Lambert, Evan Lentz. Cooperating growers: Preston Ridge Vineyard, Belltown Hill Orchards, Lebanon Green Vineyard, Savino Vineyards, Hopkins Vineyard, Sunset Meadow Vineyards, Foster Family Farm, Gouveia Vineyard, Jos. Preli Farm & Vineyard, Cherry Brook Farm, HIllyland Vineyard, Rosabianca Vineyard, Paradise Hills Vineyard. USDA-NIFA-iPiPE.
Ghimire, S. Teaching ‘Basics in Vegetable Production’. Mashantucket Pequot Federally Recognized Tribes Extension Program, 2017-2020. USDA Federally Recognized Tribes Extension Program (FRTEP).
Ghimire, S., E. Scheenstra, and C. Miles. Soil-biodegradable mulches for growth and yield of sweet corn in Mediterranean-type climate. 2018-2019. USDA NIFA SCRI.
Ghimire, S., M. Flury, E. Scheenstra, and C. Miles. Sampling and degradation of biodegradable plastic and paper mulches in field after tillage incorporation. 2018-2019. USDA NIFA SCRI.
Ghimire, S. and B. Gresczyk. Biodegradable mulch for vegetable production. 2019. YouTube video, UConn Extension.
Henderson, J., Morris, T., Guillard, K., Inguagiato, J., Rackliffe, S., and Wallace, V. Organic Turf and No-pesticide Turf Demonstration Project for Lawns and Athletic Fields. EPA/CT DEEP.
Henderson, J. and V. Wallace. Overseeding Strategies of Non-irrigated, Pesticide-free Athletic Fields. New England Regional Turfgrass Foundation.
Legrand, A and M. Concklin. UConn Subcontract. An Undergraduate Integrated Pest Management (IPM) Training Program for the South and Northeast Regions. USDA AFRI ELI.
Legrand, A. In cooperation with the CNLA Education Committee. Spanish Program for Green Industry Employees. CNLA 2019 Winter Symposium & Expo.
Legrand, A. Vegetable IPM – Applied Research and Outreach Programs. USDA NIFA CPPM EIP.
Legrand, A. and C. Witharana. Development of a Model System for Scouting Potato Leafhopper Using Unmanned Aerial System Technology. Research Excellence Program, Office of the Vice-president for Research, University of Connecticut.
Martin, J., M. Concklin, and G. Cutz. Advancing the Business of Farming in Connecticut in Partnership with
Agriculture Learning Centers, 2016-2019. USDA NIFA Beginning Farmer and Rancher Development Program (BFRDP).
Scheufele, S., A. Legrand, B. Sideman, F. Zaman, and D. Gilrein. Increasing Grower Adoption of Ecologically based Pest Management Strategies to Improve Quality and Yield of Brassica Crops. NE SARE.
Wallace, V. Turfgrass IPM – Applied Research and Outreach Programs. USDA NIFA CPPM EIP
Wallace, V. and G. Reynolds. Biological Control of Lily Leaf Beetles in Connecticut. USDA APHIS.
Wallace, V. 2019 CNLA Winter Symposium Chair, Plantsville, CT
Wallace, V. Municipal Turf and Grounds Academy, Storrs, CT.
Wallace V. Native Plant and Pollinator Conference, 2019. Storrs, CT.
Wallace, V. Alliance for Low Input Sustainable Turfgrasses (ALIST) Kentucky Bluegrass Trial. UConn Extension.
Wallace, V. 2019 National Turfgrass Evaluation Trial-Tall Fescue Test. NTEP.
Wallace, V. Connecticut School IPM Coalition and School IPM

IPM Program Partners
A number of individuals, organizations, and groups were instrumental in the success of many IPM Program efforts. The UConn IPM Program Team is grateful for their cooperation and assistance. In addition, the IPM Program Team acknowledges the assistance of municipal staff (departments of public works, parks and recreation, conservation commissions, inland wetlands commissions, and Town Mayors/Managers/First Selectman) from many Connecticut towns.
Elisha Allan-Perkins, Graduate Student, University of Massachusetts Phil Alligretti, The Plant Group, Inc., North Franklin, CT
American Phytopathological Society, Northeastern Division Audubon Society of Connecticut
Jim Baker, Hopkins Vineyard, New Preston, CT
Adam Baker, Doctoral Candidate, Department of Entomology, University of Kentucky Jason Barnes, Geremia Greenhouses, Wallingford, CT
Nancy Barrett, Scantic Farm, Somers, CT Bartlett Arboretum, Stamford, CT
Charles Beasley, Cheshire, CT
Chip Beckett, Beckett Farm, Glastonbury, CT
Steve Bengtson, Cold Spring Brook Farm, Berlin, CT
Jonathan Bishop and Michaele Williams, Bishop’s Orchards, Guilford, CT Evan Brand, Prides Corner Farms, Lebanon, CT
Dina Brewster, The Hickories, Ridgefield, CT
Richard Calarco, Director, Town of Hebron Parks and Recreation Department, Hebron, CT Diana Cooper, Orchard Farm, Bethany, CT
Steve Carroll, Montville Schools, Montville, CT Alex Carpenter, Assawaga Farm, Putnam CT
Julia Cartabiano, Spring Valley UConn Student Farm, Mansfield, CT Spencer Cartabiano, Willow Valley Farm, Willington, CT
John Casertano, Phil Sharkey, and Vern Weeda, Casertano’s Greenhouse & Farms, Inc., Cheshire and Wallingford, CT
Becky and Allen Clark, Clark Farms, Granby, CT Jon Clements, University of Massachusetts
Peter Concklin, Raspberry Knoll Farm, North Windham, CT
The Connecticut Agricultural Experiment Station (Dr. Jatinder Aulakh, Dr. Carole Cheah, Dr. Richard Cowles, Katherine Dugas, Robert Durgy, Dr. Wade Elmer, Rose Hiskes, Dr. James LaMondia, Dr. Yonghao Li, Dr. Robert Marra, Dr. Kimberly Stoner, Emmett Varricchio)
Connecticut Conference of Municipalities Connecticut Department of Agriculture
Connecticut Department of Energy and Environmental Protection (DEEP) Connecticut Environmental Council (CTEC)
Connecticut Farm Bureau
Connecticut Greenhouse Growers Association (CGGA) Connecticut Grounds Keepers Association (CGKA) Connecticut Horticultural Society
Connecticut Invasive Plants Council
Connecticut Invasive Plant Working Group (CIPWG) Connecticut Nursery and Landscape Association (CNLA)
Connecticut Nursery, Christmas tree, orchard, and berry producers participating in commodity surveys Connecticut Outdoor & Environmental Education Association
Connecticut Pomological Society
Connecticut Recreation & Parks Association (CRPA)
Connecticut River Coastal, Eastern, North Central, Northwest, and Southwest Conservation Districts Connecticut School Building and Grounds Association
Connecticut School IPM Coalition Connecticut Tree Protective Association
Silvio O. Conte National Fish & Wildlife Refuge John Cordes, Fox Run Vineyard, Brooklyn, CT
Cornell University and Cornell Cooperative Extension Dave DeNoia, Town of New London, New London, CT Eli Drazen, Drazen Orchards, Cheshire, CT
Andrea Duarte, CT Department of Mental Health, Prevention & Addiction Services Donny Dzen, Dzen Brothers Farm, East Windsor, CT
Mike Emmons, Prides Corner Farms, Lebanon, CT Dave Emory, Town of Plainville, Plainville, CT
Greg Foran, Town of Glastonbury, Glastonbury, CT
Dave Fortin, Harwinton-Burlington School Department, Harwinton, CT Foster Family Farm, South Windsor, CT
Kevin French, Lebanon Schools, Lebanon, CT John Gemmel, Town of Meriden, Meriden, CT
Daniel Gilrein, Cornell Cooperative Extension, Suffolk Count Bruce Gresczyk Jr. Gresczyk Farms, New Hartford, CT Megan Grogan, Lyman Memorial High School, Lebanon, CT Dr. Vern Grubinger, University of Vermont
George Hamilton, University of New Hampshire Trevor Hardy, Brookdale Fruit Farm, NH
Peter Hayward, Hayward Farm, New Hartford, CT Jim Heilman, Kogut Nursery LLC, Wallingford, CT Eric Henry, Blue Hills Orchard, Wallingford, CT
Heather Holm, Author and Pollinator Educator, Minnetonka, Minnesota Rick and Russ Holmberg, Holmberg Orchards, Gales Ferry, CT Maryann Houde, Gouveia Vineyard, Wallingford, CT
John Howe, Town of New Canaan, New Canaan, CT
Bryan Hurlburt, Commissioner, CT Department of Agriculture Invasive Plant Atlas of New England (IPANE)
Jon Jaffe, Farm Credit East
Carl Johnson, Town of Portland, Portland, CT Jamie Jones, Jones Family Farms, Shelton, CT Karolyn Jordan, Ledyard High School, Ledyard, CT
Diane Jorsey, CT Department of Energy and Environmental Protection Don Joy, Lebanon Green Vineyard, Lebanon, CT
Diane Karabin, Karabin Farms, Southington, CT Brian Kelliher, Easy Pickins Orchard, Enfield, CT Steve Kinosh, Cherry Brook Farm, Canton, CT Kogut Nursery, Meriden, CT
Olga Kostromytska, Extension Assistant Professor, Turf Entomology, University of Massachusetts Steve Krajewski, Town of Vernon, Vernon, CT
Casey Lambert, UConn
Evelyn Lee, Butternut Gardens, Southport, CT Evan Lentz, UConn
Bob Leonard, Sam Bridge Nursery and Garden Center, Greenwich, CT
Mashantucket Pequot Tribal Nation
Henry Maskaitis, Town of Canton, Canton, CT Massachusetts Tree Fruit Growers’ Association Jeff Mayer, CK Greenhouses, Cheshire, CT
Garry McDonald, Chestnut Hill Vineyard, Columbia, CT Barbara McKrell, Town of Stonington, Stonington, CT Bill McMinn, Madison Schools, Madison, CT
Andy Meek, Stone Acres Farm, Stonington, CT
Dr. Todd Mervosh, TM Agricultural & Ecological Services, LLC Nate Miller, RAD Sports
Susan Mitchell, Cloverleigh Farm, Mansfield Center, CT Fred and Stacia Monahan, Stone Garden Farm, Shelton, CT
George Motel Sr. and George Motel Jr., Sunset Meadow Vineyard, Goshen, CT Monrovia Nursery, Granby, CT
Steve Munno, Massaro Community Farm, Woodbridge, CT Brian Musumeci, Town of Woodstock, Woodstock, CT Kathleen Nelson, Mad Gardeners, Inc.
New England Floriculture, Inc. New England Invasive Plant Group
New England Small Fruit Management Guide editing committee New England Sports Turf Managers Association (NESTMA) New England Tree Fruit Management Guide editing committee New England Vegetable & Berry Growers’ Association
New England Vegetable & Fruit Conference Steering Committee New England Vegetable Management Guide Editing Committee
Darryl Newman and Mark Kokinchak, Planters’ Choice Nursery, Newtown and Watertown, CT North Stonington Schools, North Stonington, CT
Don O’Leary, Washington School Department, Washington, CT Walter Parkus, Town of East Haddam, East Haddam, CT
Peter Picone, CT Department of Energy and Environmental Protection Robert Potter, Town of Clinton, Clinton, CT
Don and Mike Preli, Belltown Hill Orchards, South Glastonbury, CT Prides Corner Farms, Lebanon, CT
Dr. Charlotte Pyle, retired from USDA NRCS Jay Pytel, Chaplin Schools, Chaplin, CT
Dr. Jennifer Quammen, Veterinarian Coaching, University of Tennessee Dale-Ila Riggs, Stone Wall Hill Farm, NY
John and Peter Rogers and Greg Parzych, Rogers Orchards, Southington, CT Charlie Rosabianca, Rosabianca Vineyard, Northford, CT
Rich Ruggiero, Paradise Hills Vineyard Wallingford, CT Carl Samuelson, Town of Newtown, CT
Jeff Sandness, Buell’s Orchard, Eastford, CT Jerry Savino, Savino Vineyards, Woodbridge, CT
Steve Sawyer, Preston Ridge Vineyards, Preston, CT Susan Scheufele, UMass Vegetable Program
Linda Schmidt, CT Department of Energy and Environmental Protection Karen and Tom Scott, Scott’s Yankee Farmer, East Lyme, CT
Dr. Becky Sideman, University of New Hampshire Heather Spade, CT NCSP
Kathy Spielman, CT Pomological Society, Windsor, CT Peter Stave, Town of Manchester, Manchester, CT Doug Stearns, Hillyland Vineyard, Windham, CT Walter Sykes, Town of Rocky Hill, Rocky Hill, CT
Yoko Takemura, Assawaga Farm, Putnam, CT
Erica Teveris, Woodland Farm, South Glastonbury, CT Dr. Lisa Tewksbury, University of Rhode Island
The Plant Group, North Franklin, CT Tolland County Agricultural Center Trustees Tolland County Extension Council
John Torello, Bishops Farms, Cheshire, CT John Torgerson, Town of Hamden, Hamden, CT
UConn College of Agriculture, Health and Natural Resources:
Dr. Cameron Faustman, Interim Dean Dr. Indrajeet Chaubey, Dean
UConn Department of Natural Resources and the Environment John Bartok, Jr., Faculty Emeritus
UConn Department of Plant Science and Landscape Architecture faculty and staff: Dr. Mark Brand, Professor
Dr. Bill Dest, Associate Professor Emeritus Dr. Karl Guillard, Professor
Dr. Jason Henderson, Associate Professor Dr. John Inguagiato, Associate Professor Dr. Yi Li, Professor
Dr. Jessica Lubell-Brand, Associate Professor Dr. Richard McAvoy, Professor and Head
Dr. Thomas Morris, Professor
Stephen Olsen, Manager, Farm Services Dawn Pettinelli, Assistant Extension Educator
Steven Rackliffe, Associate Extension Professor Dr. Rosa Raudales, Assistant Professor
Scott Vose, Agricultural Worker UConn Extension faculty and staff:
Joseph Bonelli, Associate Extension Educator
Bonnie Burr, Assistant Director and Department Head, UConn Extension Michael Dietz, Extension Educator
Dr. Michael O’Neill, Associate Dean and Associate Director, UConn Extension Alyssa Siegel-Miles, Program Aide
Stacey Stearns, Program Specialist 1 UConn Extension Master Gardener Program UConn Home & Garden Education Center UConn Plant Diagnostic Laboratory
UConn Plant Science Research and Education Facilities UConn Soil Nutrient Analysis Laboratory
University of Connecticut University of Delaware University of Maine University of Massachusetts University of New Hampshire University of Rhode Island University of Vermont
USDA APHIS
USDA Natural Resources Conservation Service (NRCS) USDA Risk Management Agency (RMA)
Washington State University
Tim Webb, Town of Ellington, Ellington, CT Dan Welch, Cornell University
Jim Wells, Monrovia Nursery Company, East Granby, CT
Annie White, ASLA, PhD, Owner at NECTAR Landscape Design Studio & Consulting, Burlington VT John and Patty Wolchesky, Lapsley Orchards, Pomfret, CT
Daniel Wood, Stone Acres Farm, Stonington, CT
Todd and Joyclyn Wright, Wright’s Orchard, Tolland, CT Doug Young, Woodstock Orchards, Woodstock, CT
John Yushkevich, Joseph Preli Farm and Vineyard, South Glastonbury, CT Dr. Faruque Zaman, Cornell Cooperative Extension, Suffolk County

(Photo: Mary Concklin)